Cercanía del Papa con las víctimas del huracán Melissa
- 29 de octubre, 2025
- Ciudad del Vaticano (AICA)
León XIV expresó su solidaridad con las poblaciones y las autoridades de los países afectados.
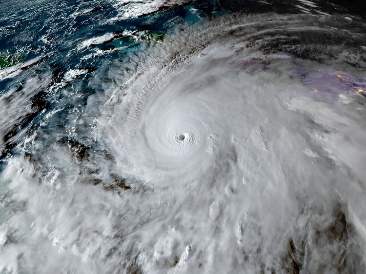
Huracán Melissa
El papa León XIV expresó hoy su solidaridad con las poblaciones afectadas por el huracán Melissa y con las autoridades de los países afectados, recordando a las víctimas de este desastre natural.
"Hay miles de personas desplazadas, y viviendas, infraestructuras y varios hospitales han resultado dañados", declaró León XIV, dirigiéndose a miles de personas reunidas en la plaza de San Pedro.
Al finalizar la audiencia pública semanal, el pontífice hizo un llamamiento, destacando que "en los últimos días, el huracán Melissa, una tormenta de fuerza catastrófica, ha azotado Jamaica, causando violentas inundaciones".
La tormenta causó al menos siete muertes en el Caribe: tres en Jamaica, tres en Haití y una en la República Dominicana.
El Centro Nacional de Huracanes de Estados Unidos (NHC) predice que el huracán Melissa tocará tierra en la costa sur de Cuba como un huracán de categoría 3, de carácter extremadamente peligroso.
"Les aseguro a todos mi cercanía; rezo por quienes han perdido la vida, por quienes huyen y por aquellas poblaciones que, a la espera del desarrollo de la tormenta, experimentan momentos de ansiedad y preocupación", dijo el Papa.
"Animo a las autoridades civiles a que hagan todo lo que esté en su mano y agradezco a las comunidades cristianas, junto con las organizaciones de voluntarios, la ayuda que están prestando".
El martes, el primer ministro jamaicano, Andrew Holness, declaró al país "zona de desastre" tras el paso del huracán Melissa, que, según los primeros informes, afectó gravemente al menos a cuatro hospitales importantes.+
